
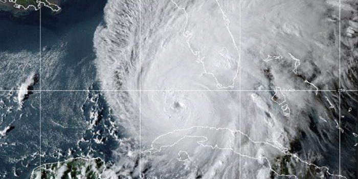
(Headline USA) Hurricane Erin exploded in strength to a Category 5 storm in the Caribbean on Saturday, rapidly powering up from a tropical storm in a single day, the National Hurricane Center said.
While the compact hurricane’s center wasn’t expected to strike land, it threatened to dump flooding rains on the northeast Caribbean as it continued to grow larger.
The first Atlantic hurricane of 2025, Erin ramped up from a tropical storm to a Category 5 hurricane in a mere 24 hours. By late Saturday morning, its maximum sustained winds more than doubled to 160 mph.
I’ve never seen anything quite like this. Look at at the water. Completely calm winds in the eye of Hurricane Erin to intense winds in the eyewall. Incredible. Erin will soon be a Category 5 Hurricane
taken by the Hurricane Hunters ️ pic.twitter.com/TJCZxxT4zD
— Brady Harris (@StormCat5_) August 16, 2025
Mike Brennen, director of the National Hurricane Center in Miami, said Erin had grown into a “very powerful hurricane.” He said its winds gained 60 mph in intensity within about nine hours Saturday.
“We expect to see Erin peak here in intensity relatively soon,” Brennan said in an online briefing.
The Hurricane Center said Erin should weaken somewhat late Saturday or early Sunday as the storm encounters increased wind shear and possibly takes in more dry air. However, forecasters predict it will remain a major hurricane until midweek.
Erin close enough to land to trigger flooding, landslides
The hurricane was located 110 miles north of Anguilla at 2 p.m. Saturday, moving west at 16 mph. The storm’s center was forecast to remain at sea, passing 145 miles north of Puerto Rico, according to the National Weather Service.
Erin was close enough to affect nearby islands. Tropical storm watches were issued for St. Martin, St. Barts and St. Maarten. The Hurricane Center warned that heavy rain in some areas could trigger flash flooding, landslides and mudslides.
Tropical-storm force wind gusts are possible in the Turks and Caicos Islands and southeast Bahamas.
Though compact in size, with hurricane-force winds extending 30 miles (45 km) from its center, the Hurricane Center said Erin was expected to double or even triple in size in the coming days.
Erin could create powerful rip currents off the U.S. East Coast from Florida to the mid-Atlantic next week, even with its eye forecast to remain far offshore, Brennan said.
An ‘incredible’ race from tropical storm to Category 5
Hurricane specialist and storm surge expert Michael Lowry said Erin gained strength at a pace that was “incredible for any time of year, let alone August 16th.”
Lowry said only four other Category 5 hurricanes have been recorded in the Atlantic on or before Aug. 16.
The most powerful storms tend to form later in the year, with the hurricane season typically peaking in mid-September.
In October 2005, Hurricane Wilma rocketed from a tropical storm to a Category 5 storm in less than 24 hours, according to National Hurricane Center advisories from that time. Wilma weakened to a Category 3 hurricane before striking Florida. Hurricane Felix in October 2007 took just over a full day to go from a tropical storm to Category 5 strength.
Including Erin, there have been 43 hurricanes that have reached Category 5 status on record in the Atlantic, said Dan Pydynowski, senior meteorologist at AccuWeather, a private forecasting company.
“They’re certainly rare, although this would mark the fourth year in a row that we’ve had one in the Atlantic basin,” Pydynowski said about Category 5 hurricanes. Conditions needed for hurricanes to reach this strength include very warm ocean water, little to no wind shear, and being far from land, he said.
Scientists say warming climate linked to storms strengthening faster
Scientists have linked rapid intensification of hurricanes in the Atlantic Ocean to climate change. Global warming is causing the atmosphere to hold more water vapor and is spiking ocean temperatures. The warmer waters give hurricanes fuel to unleash more rain and strengthen more quickly.
Storms that ramp up so quickly complicate forecasting for meteorologists and make it harder for government agencies to plan for emergencies. Hurricane Erick, a Pacific storm that made landfall June 19 in Oaxaca, Mexico, also strengthened rapidly, doubling in intensity in less than a day.
Erin is the fifth named storm of the Atlantic hurricane season, which runs from June 1 to Nov. 30. It’s the first to become a hurricane.
The 2025 hurricane season is expected to be unusually busy. The forecast calls for six to 10 hurricanes, with three to five reaching major status with winds of more than 110 mph.
In San Juan, locals and tourists walked, exercised and shopped on Saturday as usual. Restaurants were busy, and despite warnings to avoid the beaches, people could be seen in the water at Ultimo Trolley and Ocean Park beaches. Puerto Rican parents, however, kept their children from swimming.
Sarahí Torres and Joanna Cornejo, visiting San Juan from California for a Bad Bunny concert, said they decided to go to the beach and wade into the water because the skies appeared calm.
“The weather looked fine, so we came out,” Torres said.
The U.S. government deployed more than 200 employees from the Federal Emergency Management Agency and other agencies to Puerto Rico as a precaution. Puerto Rico Housing Secretary Ciary Pérez Peña said 367 shelters were inspected and ready to open if needed.
Meanwhile, officials in the Bahamas said they prepared some public shelters as a precaution as they urged people to track the hurricane.
“These storms are very volatile and can make sudden shifts in movement,” said Aarone Sargent, managing director for the Bahamas’ disaster risk management authority.
Adapted from reporting by the Associated Press
Leave a Comment